고객센터 이용안내
[카카오채널ID]오케이발리

kakao-chat

액티비티 추천

발리 다이빙 체험


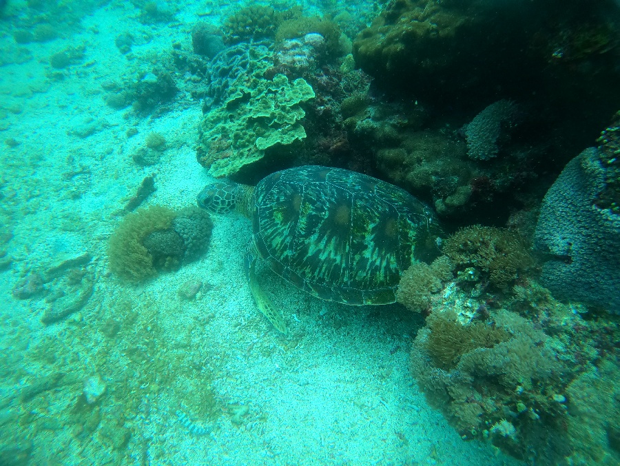
아름다운 발리의 바닷속 체험~!


최저가보장
상품선택
상품 리스트
🤿다이빙 체험 예약 안내
🤿다이빙 체험 구매 방법 😊카카오톡[오케이발리]채널 추가 후 상품 문의
[오케이발리]예약 바로가기
🤿다이빙 포인트 안내
🎈뚤람벤 호텔에서 픽업 후 뚤람벤 베이(Tulamben Bay)로 이동하여 백사장과 맑고 푸른 물을 만나보세요 다이빙 중 긴장을 풀고 안심 시키는 방법을 포함하여 다이빙의 기본 사항을 배웁니다. 뚤람벤의 바로 앞에 있는 다이브 사이트의 이점을 이용하면 여행 시간을 줄이고 경험에 더 많은 시간을 할애할 수 있습니다. USAT 리버티의 난파선이 해안에 너무 가까워서 돌을 던지고 부딪칠 수도 있을 것입니다. 🎈빠당바이 호텔에서 픽업 후 빠당바이(Padangbai)로 이동한 다음 전통 주쿵(발리보트)을 타고 블루라군 까지 15분 간 항해 합니다. 항해를 시작하면 백사장, 아름다운 해변, 맑고 푸른물, 빠당바이의 광경이 조화롭게 어우러져 경이로움을 느끼실 수 있습니다. 🎈아메드 발리 동부 해안에 위치한 작은 마을 아메드(Amed)는 처음으로 다이빙을 시도하기에 좋은 곳입니다. 맑은 물과 다양한 해양 생물은 초보자가 수중 세계를 배우고 탐험하기에 완벽한 장소입니다. Amed에는 초보자 다이빙 코스와 경험 많은 다이버를 위한 가이드, 다이빙 여행을 제공하는 다이빙 센터가 많이 있습니다. 강사는 고도로 훈련되고 경험이 풍부하며 다이빙의 기본을 배우면서 안전하고 편안하게 느낄 수 있도록 합니다.
포함 사항
✅포함사항 -스쿠버 다이빙에 필요한 일체의 장비 -PADI 자격증을 보유한 다이버 마스터 Instructor / 스노클링 가이드 -PADI 온라인 자료, 발리 다이빙 로고북 -PADI 인증서(다이빙 코스만 해당) -호텔 왕복 픽업&드롭 서비스 : 사누르, 꾸따, 르기안, 스미냑 지역 -런치(런치박스 or Beach side cage 에서 런치) -미네랄 워터 -간단한 스낵(보트에서) -porter 및 허가 수수료 -지역 보험(한국에서 여행자 보험을 드시는 것을 추천 드립니다.) -다이빙 센터에서 티, 커피, Wi-Fi 무료 제공 -정부 세금
불포함 사항
✅불포함 사항 -왕복 픽드랍 차량 (최대 4인 기본차량 $38) -여행자 보험
기타 안내사항
-고혈압, 심장병, 천식, 뇌전증, 임산부 등 질병 혹은 자극적인 활동이 불가한 여행객은 참가를 권장드리지 않습니다. -비행기 탑승 전 몸속의 질소를 줄이기 위해 적어도 24시간은 휴식을 취해야 합니다. -만약 비행전(출국 전) 까지 24시간이 남지 않았다면, 다이빙에 참여할 수 없습니다. -오케이발리는 예약 대행 업체로 예약 이외의 사안에는 개입할 수 없으며, 한국에서 개별 여행자 보험 가입 하시길 권장해 드립니다.
약관/환불규정
약관상세보기>
  • 상품정보
  • 🤿다이빙 체험 예약 안내
  • 🤿다이빙 포인트 안내
  • 포함 사항
  • 불포함 사항
  • 기타 안내사항
  • 약관/환불규정
  • 고객센터
    [카카오채널ID]오케이발리
    [카카오톡 채널 상담]오전 9시~5시 (주말/공휴일 휴무)